
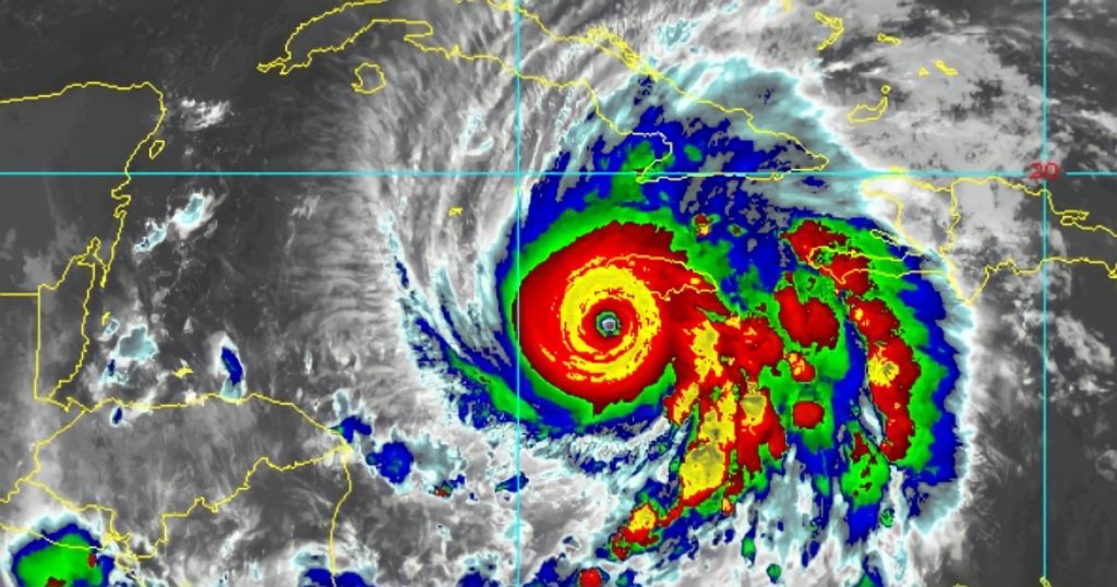
El huracán Melissa, de categoría 5 continúa fortaleciéndose con vientos sostenidos de 295 kilómetros por hora, mientras se aproxima peligrosamente a Jamaica, según informó el Centro Nacional de Huracanes (NHC).
El ciclón ya cruzó las Islas de Barlovento y se ubica a unos 185 kilómetros al suroeste de Kingston, donde se espera que toque tierra en las próximas horas.
Los especialistas han advertido que este podría convertirse en el huracán más destructivo del siglo en el Caribe.
Melissa ha provocado hasta el momento siete muertes en el Caribe, tres en Jamaica, tres en Haití y una en República Dominicana.
Por su parte, las autoridades jamaicanas han decretado alerta máxima y evacuaciones obligatorias en zonas costeras como Port Royal y St. Thomas, y realizan labores de búsqueda de un adolescente reportado como desaparecido en la provincia de Barahona.
“Para Jamaica, Melissa será sin duda la tormenta del siglo”, advirtió Anne-Claire Fontan, especialista en ciclones tropicales de la Organización Meteorológica Mundial (OMM), durante una conferencia desde Ginebra.
Se recomendó a las embarcaciones pequeñas y medianas permanecer en puertos, especialmente en la costa sur, debido a las olas de gran tamaño.
El Servicio Meteorológico Nacional (Indomet) de República Dominicana mantiene activas las alertas por lluvias torrenciales y ráfagas de viento.
La Federación Internacional de la Cruz Roja calificó al poderoso fenómeno como “el huracán del siglo”, advirtiendo que se estima que al menos un millón y medio de personas serán afectadas de forma directa tras el impacto de Melissa y centenares de miles de afectados en Cuba, Bahamas, República Dominicana y Haití.




