
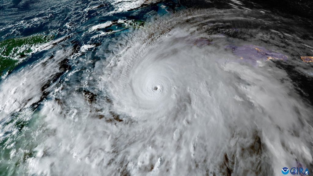
El huracán Melissa arrasó el Caribe tras formarse sobre las aguas excepcionalmente cálidas del mar Caribe, al sur de Jamaica, donde se intensificó rápidamente hasta alcanzar la categoría 5, con vientos sostenidos de casi 300 km/h.
Tras azotar Jamaica, con categoría 5, provocando fuertes vientos, marejadas y lluvias torrenciales, Melissa tocó tierra por segunda vez en Cuba como huracán de categoría 3, dejando a su paso comunidades devastadas y un saldo mortal en Haití, a causa del desbordamiento del río La Digue, que provocó la mayoría de las muertes.

El gobierno jamaicano declaró la isla en “zona catastrófica” y estimó que podrían verse millones de personas afectadas.

El huracán Melissa fue catalogado como la “tormenta del siglo” en Jamaica, al impactar con vientos de 298 km/h, convirtiéndose en el ciclón más poderoso registrado en la isla desde 1851.

En Cuba, especialmente en las provincias de Santiago de Cuba y Guantánamo, se reportaron violentas marejadas que penetraron varios metros tierra adentro, además de inundaciones costeras que dañaron viviendas, carreteras y embarcaderos.

El huracán tocó tierra en la provincia de Santiago de Cuba, dejando numerosas comunidades aisladas por inundaciones y deslizamientos.

En Haití, al menos 25 personas murieron en la comuna de Petit-Goâve tras el desbordamiento del río La Digue, cuyas aguas arrasaron viviendas y caminos luego del paso del huracán Melissa. Las autoridades advierten que el número de víctimas podría aumentar.

El gobierno de Cuba evacuó a más de 735,000 personas ante la llegada del huracán Melissa.

Haití habilitó centros de refugio temporales en las comunas de Petit-Goâve, Léogâne y Jacmel, ante las inundaciones y deslaves provocados por el huracán Melissa.

En Cuba, el huracán Melissa provocó graves daños en infraestructuras donde carreteras, puentes y redes eléctricas resultaron severamente afectadas. Las marejadas e inundaciones costeras destruyeron viviendas y cultivos.

Según el Centro Nacional de Huracanes (NHC), Melissa se encuentra sobre el centro de las Bahamas, desplazándose hacia el noreste a 26 km/h, de categoría 1.
“En el sureste de las Bahamas, se prevén precipitaciones totales de entre 125 y 250 mm hasta la mañana del jueves, lo que podría provocar inundaciones repentinas”, informó del NHC.
El huracán Melissa continuará desplazándose hacia el noreste, y se espera que las precipitaciones más intensas alcancen a Bermudas entre el jueves y la madrugada del viernes, con posible fortalecimiento temporal antes de comenzar a debilitarse gradualmente.




