
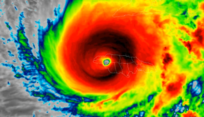
El superhuracán Melissa azota el Caribe tras tocar tierra en Jamaica como una tormenta de categoría 5, con vientos sostenidos de hasta 295 km/h, es considerada una de las más poderosas jamás registradas en el océano Atlántico.
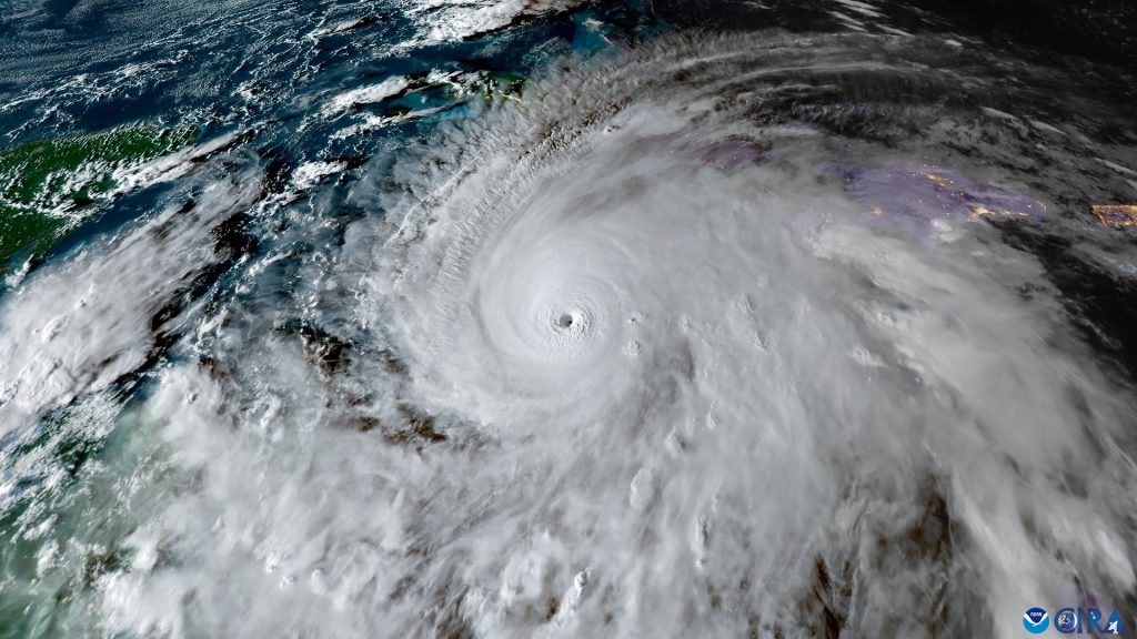
Según el Centro Nacional de Huracanes (NHC), el sistema se degradó a categoría 3 y se ubica a 80 km al noreste de Montego Bay, Jamaica, y 260 km al suroeste de Guantánamo, Cuba.
Se prevé que el núcleo del huracán cruce el oriente cubano entre la noche de este martes y la madrugada del miércoles, afectando luego Bahamas y acercándose a Bermudas, mientras las autoridades mantienen alertas en las zonas más vulnerables.
MIÉRCOLES 29 OCTUBRE 2025
09:20 a.m.
El huracán Melissa, ahora de categoría 2 con vientos de hasta 160 km/h, salió al Atlántico tras cruzar Cuba. Aunque se debilitó parcialmente, sigue provocando lluvias intensas y fuertes vientos. Las Bahamas mantienen alerta de huracán en el centro y sureste del archipiélago.

05:59 a.m.
El huracán Melissa avanza sobre el oriente de Cuba con vientos destructivos, marejada ciclónica e inundaciones repentinas.
El fenómeno seguirá hoy hacia Bahamas y Turks And Caicos, donde se esperan condiciones de huracán y fuertes lluvias, informó el Centro Nacional de Huracanes de EEUU.

11:10 p.m.
El huracán Melissa vuelve a categoría 4 con vientos de 215 km/h. Se aproxima a Cuba esta madrugada y seguirá hacia Bahamas y Bermudas, manteniendo gran intensidad, según el Centro Nacional de Huracanes de EEUU

10:00 p.m.
Jamaica ha sido declarada zona de desastre tras el paso del huracán Melissa, que tocó tierra como categoría 5, dejando una estela destrucción en la isla caribeña.
El primer ministro Andrew Holness activó la Ley de Gestión del Riesgo de Desastres ante los graves daños reportados.
Según Desmond McKenzie, ministro de Desarrollo Comunitario, se registran inundaciones, caída de árboles, cortes de electricidad, deslizamientos de tierra y fuertes marejadas.

09:20 p.m.
«Será una noche muy difícil para toda Cuba», dijo el presidente cubano Miguel Díaz-Canel mientras supervisa los preparativos ante el huracán Melissa.
Más de 735.000 personas fueron evacuadas. El huracán Melissa, ahora de categoría 3, se espera toque tierra en Guamá, Santiago de Cuba.

09:00 p.m.
El huracán Melissa provoca fuertes lluvias en Santiago de Cuba, con hasta 90 mm registrados, mientras se aproxima al sureste de la isla como un huracán intenso de categoría 3-4. Ya se reportan leves inundaciones costeras y vientos de tormenta tropical de hasta 117 km/h.

08:30 p.m.
El huracán Melissa se aproxima a Cuba como categoría 3. Las autoridades mantienen alertas y preparativos en el oriente del país ante su llegada.

07:30 p.m.
El huracán Melissa, se degrada a categoría 3 y avanza hacia Cuba tras tocar tierra en Jamaica con intensidad 5.
El presidente cubano Miguel Díaz-Canel instó a la población a mantenerse en sitios seguros ante los pronósticos de vientos de hasta 300 km/h.

04:14 p. m.
El huracán Melissa, que golpeó Jamaica como categoría 5, superó en intensidad al devastador Katrina de 2005, con vientos de 297 km/h y una presión mínima de 892 milibares. Considerado uno de los más poderosos del Atlántico, ha dejado al menos siete muertos en el Caribe.

02:48 p. m.
El Centro Nacional de Huracanes prevé que Melissa, aún como un huracán poderoso, atraviese el sureste de Cuba el miércoles y alcance las Bahamas el jueves. Tras golpear Jamaica con vientos de 295 km/h, el NHC advierte sobre “vientos catastróficos, inundaciones y marejadas ciclónicas”, mientras Cuba inició anticipadamente la evacuación de miles de personas.




02:23 p. m.
El huracán Melissa se debilita a categoría 4, pero continúa siendo “extremadamente peligroso”, advirtió el Centro Nacional de Huracanes. Con vientos sostenidos de 240 km/h, el ciclón se ubica a 16 km al sur de Montego Bay y se dirige hacia el mar Caribe.

02:15 p. m.
Más de 168.000 personas fueron evacuadas en Santiago de Cuba ante la inminente llegada del huracán Melissa. Las autoridades priorizan zonas costeras y montañosas, mientras se prevén ráfagas de hasta 193 km/h y el cierre de plantas eléctricas en el oriente del país.

02:12 p. m.
El Centro Nacional de Huracanes de EE. UU. advirtió que la evaluación total de los daños por Melissa en Jamaica podría tardar semanas. El ciclón, con vientos de 298 km/h, es el más poderoso en la historia del país y ha dejado comunidades aisladas, inundaciones y graves destrozos.

01:41 p. m.
El impacto del huracán Melissa ha provocado cortes masivos de internet y daños en infraestructuras en Jamaica, según NetBlocks. Los fuertes vientos derribaron líneas eléctricas y causaron inundaciones en carreteras y puentes, dejando zonas como Hanover con apenas un 2 % de conectividad.

01:35 p. m.
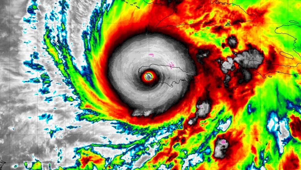
El ojo del huracán Melissa se desfigura mientras azota el oeste de Jamaica, señal de que comienza a perder fuerza tras su impacto devastador. Sin embargo, los vientos siguen siendo feroces y el peligro continúa en gran parte de la isla.

01:28 p. m.
Unos 25.000 turistas permanecen en Jamaica mientras pasa el huracán Melissa. Las autoridades informaron que los hoteles ofrecen “tarifas de emergencia” y refugio a los varados, mientras los aeropuertos esperan reabrir cuando mejoren las condiciones.

01:04 p. m.
El presidente Miguel Díaz-Canel instó a los cubanos a permanecer en zonas seguras ante el inminente paso del huracán Melissa, de categoría 5, que azotará el oriente del país con vientos superiores a 260 km/h. Alertó sobre su “envergadura excepcional” y confirmó amplias evacuaciones preventivas.

12:03 p. m.
El huracán Melissa ya cruza Jamaica, dejando a su paso vientos devastadores, lluvias torrenciales e inundaciones. El Servicio Meteorológico advierte que las zonas centrales podrían acumular hasta 9.000 mm de lluvia en los próximos dos días.

11:39 a. m.
Cuba se prepara ante la inminente llegada del huracán Melissa, con medidas preventivas en el oriente del país y evacuaciones en zonas vulnerables, mientras las autoridades monitorean el avance del poderoso ciclón.



11:31 a. m.
El primer ministro de Jamaica, Andrew Holness, advirtió que el huracán Melissa provocará “daños catastróficos” al sur del país. Pidió a la población permanecer en casa y destacó el apoyo recibido de la Comunidad del Caribe.

11:18 a. m.
El huracán Melissa tocó tierra en el suroeste de Jamaica, cerca de Nueva Esperanza, como un poderoso ciclón de categoría 5.

11:18 a. m.
Unas mil personas fueron evacuadas de la Base Naval de EEUU en Guantánamo como medida preventiva, mientras los pronósticos advierten que el huracán Melissa impactará en las próximas horas el oriente cubano, entre Granma, Santiago de Cuba y Guantánamo.

11:15 a. m.
La Cruz Roja Internacional estima que hasta 1,5 millones de personas podrían verse afectadas en Jamaica, mientras Bahamas inició la evacuación de varias islas del sureste ante el posible agravamiento del huracán Melissa el miércoles.

11:05 a. m.
El meteorólogo Jonathan Erdman advirtió que el huracán Melissa podría convertirse en el más poderoso que toque tierra en el Atlántico. Con una presión mínima de 892 milibares, ya es el tercero más intenso registrado, solo detrás de Wilma (2005) y Gilbert (1998).

11:00 a. m.
El Centro Nacional de Huracanes de EE.UU. ha alertado que queda muy poco tiempo para ponerse a salvo antes del impacto del huracán Melissa este martes en Jamaica.
