Xi Jinping y Trump se reunirán en Corea del Sur
El presidente de China, Xi Jinping, sostendrá una reunión con su homólogo estadounidense, Donald Trump, en la ciudad de Busan, República de Corea, el...
ONU acusa a más de 60 países de facilitar el genocidio israelí en Gaza
La relatora especial de la ONU para Palestina, Francesca Albanese, denunció ante la Asamblea General que más de 60 países contribuyeron a la maquinaria...
Nicaragua denuncia maniobras de EEUU cerca de Venezuela
El embajador de Nicaragua en Irán, Ramón Alberto Moncada Colindres, calificó las acciones militares de Estados Unidos cerca de Venezuela como una amenaza directa...
Hungría denuncia que la Unión Europea saboteó la cumbre de paz Putin–Trump
El ministro de Relaciones Exteriores de Hungría, Peter Szijjarto, acusó a la Unión Europea de intentar bloquear la cumbre de paz que su país...
Rusia prueba con éxito el submarino Poseidón, su arma nuclear más avanzada
El presidente de Rusia, Vladímir Putin, aseguró que el nuevo complejo submarino no tripulado Poseidón representa un avance sin precedentes en la defensa estratégica...
Gobierno de Venezuela desmantela tres operaciones de la CIA
Tres operaciones encubiertas vinculadas a la Agencia Central de Inteligencia (CIA) de Estados Unidos, fueron desmanteladas por el Gobierno de Venezuela, según afirmó el...
EEUU lanza nuevo ataque contra embarcaciones en aguas internacionales
El Gobierno de Estados Unidos confirmó el lanzamiento de tres nuevos ataques dirigidos a cuatro embarcaciones en el océano Pacífico oriental, dejando 14 personas...
Netanyahu ordena reanudar bombardeos contra Gaza
El primer ministro de Israel, Benjamín Netanyahu, ordenó a su Ejército reanudar los ataques en la Franja de Gaza, bajo el argumento de que...
ONU debate nuevamente el fin del bloqueo económico de EEUU contra Cuba
La Asamblea General de la ONU inició un nuevo debate sobre el bloqueo económico, comercial y financiero impuesto por Estados Unidos a Cuba, vigente...
Hungría advierte que las sanciones de la UE perjudican
El ministro de Relaciones Exteriores y Comercio de Hungría, Peter Szijjarto, cuestionó duramente las sanciones impuestas por la Unión Europea (UE), asegurando que han...
Lavrov: la OTAN busca dominar Eurasia para contener a Rusia y China
El ministro de Relaciones Exteriores de Rusia, Serguéi Lavrov, advirtió sobre los planes de la OTAN de incrementar su presencia y operaciones en el...
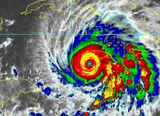
Alerta máxima en Jamaica por el huracán Melissa
El huracán Melissa, de categoría 5 continúa fortaleciéndose con vientos sostenidos de 295 kilómetros por hora, mientras se aproxima peligrosamente a Jamaica, según informó...



















