Poema de Rubén Darío pone en evidencia romance secreto de Almagro con su “asistente”...
El secretario general de la Organización de Estados Americanos (OEA), Luis Almagro, enfrenta una investigación interna del organismo, tras las denuncias que indican que...
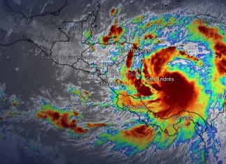
Minuto a Minuto: Tormenta Tropical Julia por Centroamérica
Julia, tras su impacto y trayectoria sobre Nicaragua se ha degradado a Tormenta Tropical, sin embargo, se mantendrá afectando la región centroamericana. Se esperan...
Minuto a minuto: Julia se convierte en huracán
La Tormenta Tropical Julia, se ha convertido en Huracán categoría 1, y mantiene alerta a los territorios del Caribe.
Domingo 09 de octubre, 2022
8:50 a.m.
Julia...
Honduras acusa a OEA de avalar elecciones irregulares en su país
El vicecanciller de Honduras, Gerardo Torres Zelaya, acusó a la Organización de Estados Americanos (OEA) de encubrir las «elecciones irregulares» que situaron en el...
Colombia encuentra nuevo yacimiento de gas natural
Un yacimiento de gas natural fue descubierto en Colombia por la petrolera, Hocol, empresa estatal de Ecopetrol, que informó acerca de la perforación exitosa,...
Centroamérica en alerta por Tormenta Tropical Julia
La Tormenta Tropical Julia se desplaza rumbo a Centroamérica y se prevé que se convierta en huracán frente a las costas de Nicaragua, país...
Asesinan a alcalde y al menos 17 personas más en México
Autoridades del estado de Guerrero, México, han ordenado agilizar investigaciones tras el asesinato de Conrado Mendoza Almeda, alcalde municipal de San Miguel Totolapan, quien...
Banco Mundial: Panamá y Nicaragua lideran crecimiento económico en Centroamérica
El Banco Mundial, ha ubicado a Panamá y Nicaragua en los primeros lugares de los países que obtendrán mayor crecimiento económico en Centroamérica, cuando...
Brasil rumbo a segunda vuelta electoral con Lula liderando encuestas
La nueva campaña electoral ha iniciado en Brasil, y el aspirante a la presidencia, Luis Inácio Lula da Silva, encabeza los sondeos ubicándose como...
ONU: Nicaragua condena terrorismo incitado por intentos de golpes de Estado
Nicaragua, ha planteado ante la Asamblea General de las Naciones Unidas (ONU), su condena firme al terrorismo incitado por operaciones que pretenden ejecutar cambios...
Nicaragua rechaza toda forma de ocupación colonial ante la ONU
En un mensaje emitido durante el debate de descolonización en la Asamblea General de las Naciones Unidas (ONU), el embajador permanente de Nicaragua ante...
México mantendrá Ejército en las calles hasta 2028
México ha aprobado una reforma de Ley para mantener a las Fuerzas Armadas del Ejército en las calles hasta el año 2028, la medida...



















